Ouragan Ioke
L’ouragan Ioke (aussi typhon Ioke, désignation internationale 0612, désignation du centre japonais des cyclones tropicaux 01C et parfois appelé Super Typhon Ioke) est la première tempête tropicale et le premier ouragan de la saison cyclonique 2006 du bassin central-nord de l’océan Pacifique. En provenance du bassin nord-ouest du Pacifique, c’est également la première tempête tropicale à s’y former depuis 2002.
|
Ouragan Ioke
Typhon Ioke Supertyphon 01C | ||||||||
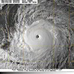
Ouragan Ioke, le . | ||||||||
| Apparition | 19 août 2006 | |||||||
|---|---|---|---|---|---|---|---|---|
| Dissipation | 7 septembre 2006 | |||||||
| Catégorie maximale | Ouragan catégorie 5 | |||||||
| Pression minimale | 915 hPa | |||||||
| Vent maximal (soutenu sur 1 min) |
260 km/h | |||||||
| Dommages confirmés | Non-disponible | |||||||
| Morts confirmés | Aucun | |||||||
| Blessés confirmés | Aucun | |||||||
| Zones touchées | ||||||||
Parcours de l’ouragan Ioke.
| ||||||||
| Saison cyclonique 2006 dans l'océan Pacifique central | ||||||||
Ioke brisa plusieurs records dont sa longévité et son intensité¸pour un cyclone tropical dans cette région. Il dura 19 jours et atteignit trois fois la catégorie 5 dans l’échelle de Saffir-Simpson. Le Central Pacific Hurricane Center a demandé le retrait du nom Ioke en , ce qui fut accordé. Il est maintenant remplacé par Iopa[1],[2].
Situation météorologique
Il se développa dans la zone intertropicale de convergence le très loin au sud d’Hawaii au-dessus d’eaux très chaudes, dans une circulation atmosphérique avec peu de cisaillement vertical des vents et près d’un front de rafales orageux. Ioke s’intensifia du niveau de tempête tropicale à celui d’ouragan de catégorie 4 en 48 heures.
Tard le , le système redescendit à la catégorie 2 juste avant de traverser l’atoll Johnston mais deux jours plus tard les conditions atmosphériques lui permettaient de se renforcer et d’atteindre la catégorie 5 le . Ioke traverse ensuite la ligne des dates et continue vers l’ouest en fluctuant d’intensité. Le , il passe au large de Wake, enregistrant des vents de 250 km/h. Ioke oblique ensuite vers le nord-ouest et diminue graduellement d’intensité et amorce sa transition extratropicale le 6 septembre. Les restes d’Ioke accélèrent ensuite vers le nord-est et se dirigent vers l’Alaska.
Impacts

Ioke n’a pas affecté les régions peuplées en permanence du Pacifique central et du Pacifique ouest, lors de sa phase d’ouragan/typhon. Une équipe de recherche de douze personnes sur l’atoll Johnston, à l’abri dans un refuge conçu pour résister aux ouragans, a subi des vents estimés à 160 km/h. Les arbres ont été endommagés par les vents mais la population d’oiseaux n'a pas été affectée. Sur l'île Wake — une base militaire et un sanctuaire d’oiseaux — les dégâts aux toits et aux bâtiments ont été estimés à 88 millions $US ; l’infrastructure de l’île n’a cependant pas été touchée. Finalement, les restes de Ioke ont créé une importante onde de tempête sur la côte de l’Alaska, provoquant de l’érosion sur les plages.
Voir aussi
Articles connexes
Notes et références
- (en) Office of the Federal Coordinator for Meteorology, « Actions and Recommendations for the 61st Interdepartmental Hurricane Conference » [PDF], (consulté le ), p. 7
- (en) Central Pacific Hurricane Center, « Pacific Tropical Cyclone Names », (consulté le )
- Portail de la météorologie
- Portail des années 2000

